Ouragan Ioke

L’ouragan Ioke (aussi typhon Ioke, désignation internationale 0612, désignation du centre japonais des cyclones tropicaux 01C et parfois appelé Super Typhon Ioke) est la première tempête tropicale et le premier ouragan de la saison cyclonique 2006 du bassin central-nord de l’océan Pacifique. En provenance du bassin nord-ouest du Pacifique, c’est également la première tempête tropicale à s’y former depuis 2002.

Ouragan Ioke
Typhon Ioke
Supertyphon 01C
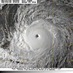
Ouragan Ioke, le 25 août 2006.
Ouragan Ioke, le .

Apparition 19 août 2006
Dissipation 7 septembre 2006

Catégorie maximale Ouragan catégorie 5
Pression minimale 915 hPa
Vent maximal
(soutenu sur 1 min)
260 km/h

Dommages confirmés Non-disponible
Morts confirmés Aucun
Blessés confirmés Aucun

Zones touchées
 

Parcours de l’ouragan Ioke.
Parcours de l’ouragan Ioke.
Échelle de Saffir-Simpson
DT12345
Saison cyclonique 2006 dans l'océan Pacifique central

Ioke brisa plusieurs records dont sa longévité et son intensité¸pour un cyclone tropical dans cette région. Il dura 19 jours et atteignit trois fois la catégorie 5 dans l’échelle de Saffir-Simpson. Le Central Pacific Hurricane Center a demandé le retrait du nom Ioke en , ce qui fut accordé. Il est maintenant remplacé par Iopa[1],[2].

Situation météorologique

Il se développa dans la zone intertropicale de convergence le très loin au sud d’Hawaii au-dessus d’eaux très chaudes, dans une circulation atmosphérique avec peu de cisaillement vertical des vents et près d’un front de rafales orageux. Ioke s’intensifia du niveau de tempête tropicale à celui d’ouragan de catégorie 4 en 48 heures.

Tard le , le système redescendit à la catégorie 2 juste avant de traverser l’atoll Johnston mais deux jours plus tard les conditions atmosphériques lui permettaient de se renforcer et d’atteindre la catégorie 5 le . Ioke traverse ensuite la ligne des dates et continue vers l’ouest en fluctuant d’intensité. Le , il passe au large de Wake, enregistrant des vents de 250 km/h. Ioke oblique ensuite vers le nord-ouest et diminue graduellement d’intensité et amorce sa transition extratropicale le 6 septembre. Les restes d’Ioke accélèrent ensuite vers le nord-est et se dirigent vers l’Alaska.

Impacts

Dommages à l’île Wake.

Ioke n’a pas affecté les régions peuplées en permanence du Pacifique central et du Pacifique ouest, lors de sa phase d’ouragan/typhon. Une équipe de recherche de douze personnes sur l’atoll Johnston, à l’abri dans un refuge conçu pour résister aux ouragans, a subi des vents estimés à 160 km/h. Les arbres ont été endommagés par les vents mais la population d’oiseaux n'a pas été affectée. Sur l'île Wake  une base militaire et un sanctuaire d’oiseaux  les dégâts aux toits et aux bâtiments ont été estimés à 88 millions $US ; l’infrastructure de l’île n’a cependant pas été touchée. Finalement, les restes de Ioke ont créé une importante onde de tempête sur la côte de l’Alaska, provoquant de l’érosion sur les plages.

Voir aussi

Articles connexes

Liens externes

Saison cyclonique 2006 dans l’océan Pacifique nord-ouest
1   2   3   4   5   6   P   8   S   10   11   12   13   I   14   15   16   17   X   19   20   21
Échelle de Saffir-Simpson
DT12345

Notes et références

  1. (en) Office of the Federal Coordinator for Meteorology, « Actions and Recommendations for the 61st Interdepartmental Hurricane Conference » [PDF], (consulté le ), p. 7
  2. (en) Central Pacific Hurricane Center, « Pacific Tropical Cyclone Names », (consulté le )
  • icône décorative Portail de la météorologie
  • icône décorative Portail des années 2000
Cet article est issu de Wikipedia. Le texte est sous licence Creative Commons – Attribution – Partage à l’identique. Des conditions supplémentaires peuvent s’appliquer aux fichiers multimédias.