Aéroport international de Saint-Jean de Terre-Neuve

L'aéroport international de Saint-Jean de Terre-Neuve (en anglais : St John's International Airport) (code IATA : YYT  code OACI : CYYT) se situe au Canada[2], à km au nord-ouest de la ville de Saint-Jean de Terre-Neuve à Terre-Neuve-et-Labrador[3].
Il sert la grande région de la capitale terre-neuvienne ainsi que la péninsule d'Avalon. Il fait partie du Réseau national des aéroports, et est exploité par l'Autorité de l'Aéroport international de Saint-Jean-de-Terre-Neuve Inc.
C'est l'aéroport situé le plus à l'est d'Amérique du Nord, et il a accueilli 1,3 million de passagers en 2010. Il est aussi le siège de Provincial Airlines[4].

Aéroport international de
Saint-Jean de Terre-Neuve
St John's International Airport
Vue aérienne de l'aéroport internationalde Saint-Jean de Terre-Neuve.
Vue aérienne de l'aéroport international
de Saint-Jean de Terre-Neuve.
Localisation
Pays Drapeau du Canada Canada
Ville Saint-Jean de Terre-Neuve
(Terre-Neuve-et-Labrador)
Coordonnées 47° 37′ 07″ nord, 52° 45′ 09″ ouest
Altitude 141 m (461 ft)
Informations aéronautiques
Code IATA YYT
Code OACI CYYT
Type d'aéroport Civil
Gestionnaire Transports Canada[1]
Site web aéroport Consulter
Pistes
Direction Longueur Surface
02/20 1 533 m (5 030 ft) Asphalte
11/29 2 591 m (8 501 ft) Asphalte
16/34 2 135 m (7 005 ft) Asphalte
Géolocalisation sur la carte : Canada
(Voir situation sur carte : Canada)
YYT
Géolocalisation sur la carte : Terre-Neuve-et-Labrador
(Voir situation sur carte : Terre-Neuve-et-Labrador)
YYT

Histoire

Un problème fut constaté au début de au parlement Canadien pour la sécurité de l'île de Terre-Neuve (qui, à cette époque, ne faisait pas partie du Canada) en cas d'une attaque aérienne de la part des Allemands. Il fallait qu'un aéroport permanent pour la défense de l'île soit construit, et comme conséquence, les discussions commencèrent durant l'année 1940 au Canada, à Terre-Neuve, ainsi qu'au Royaume-Uni.

À la fin de l'année 1940, le gouvernement du Canada approuva la construction d'une base aérienne près de Saint-Jean-de-Terre-Neuve. Tôt en 1941, le premier ministre canadien William Lyon Mackenzie King informa le gouverneur de Terre-Neuve Humphrey T. Walwyn pour le site de la construction, à Torbay. Terre-Neuve approuva, stipulant, toutefois, que le Canada devrait assumer toutes les dépenses et que l'utilisation des civils devait être approuvée par Terre-Neuve. Le gouvernement canadien approuva, et en , la compagnie de construction McNarnara commença à construire la piste. Pour un coût d'environ 1,5 million $, une paire de pistes, de voies de circulation, du terminal et d'autres bâtiments ont été construits pour entrer en opération à la fin de 1941.

Il fut utilisé par la RCAF, le RAF (les forces de l'air canadiennes), ainsi que par les forces de l'air américaines jusqu'en .
Le , trois avions américains B-17 et un avion Digby de la RCAF ont fait le premier atterrissage non officiel sur la seule piste utilisable. Plus tard dans ce mois, un avion B-24 Liberator du Royaume-Uni en route de Prestwick en Écosse jusqu'à Gander fit le premier atterrissage officiel dû à une urgence causée par les mauvaises conditions météorologiques. Le premier service commercial par air commença ses opérations le , avec l'arrivée à Torbay d'un avion Lockheed Lodestar d'Air Canada avec 5 passagers et 3 membres de l'équipage à bord. Le premier terminal du site a été construit en 1943. La petite structure en bois fut remplacée en 1958 par une structure en brique.
Même si la base aérienne n'était pas autant utilisée que ceux d'Argentia, de Gander, de Stephenville et de Goose Bay pour des vols vers le Royaume-Uni, il était tout de même occupé. La RAF avait ses propres équipages d'avions de chasse, de surveillance et de météorologie.

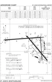
Le plan de l'aéroport.

Le , l'aéroport devint un aéroport civil sous la juridiction du département Canadien des Transports. La confusion était due par la présence des membres du personnel de l'armée américaine dans un aéroport civil dirigé par le gouvernement canadien. Conséquemment, le , le contrôle de l'aéroport retourna aux mains du département de la défense nationale.

La tour de contrôle originellement construite durant la guerre brûla dans un énorme feu à l'aéroport le , ce qui causa 1,5 million $ de dommages. La construction d'une nouvelle tour ne commença pas avant 1951; elle ouvrit en . Un nouveau bâtiment de télécommunications remplaça la structure en . La tour fut équipée d'une radio de navigation incluant la précision d'approche radar.
Le département du transport maintint son contrôle sur le terminal. Il demeura une station pour la RCAF jusqu'au , quand l'aéroport retourna sous la juridiction du département du transport, sous le nom de l'aéroport de St. John's.
Encore aujourd'hui, l'aéroport de Saint-Jean-de-Terre-Neuve est connu sous le nom de Torbay, majoritairement pour éviter la confusion avec l'aéroport de Saint-Jean au Nouveau-Brunswick. Cela explique probablement le code YYT pour l'aéroport, le T pour Torbay.
En 1981, le terminal accueillit les membres de l'aéroport. Il y eut de nouveaux bâtiments pour Eastern Provincial Airways, Air Canada, Gander Aviation et Labrador Airways, une large aire d'attente, un salon de départs sécurisé, un restaurant libre-service, un salon avec licence d'alcool, beaucoup de restaurants et de commerces pour l'achat de voitures. En 1981, un petit musée fut préparé pour faire partie de l'histoire de l'aviation à Terre-Neuve, et les mémoires associées.
L'aéroport bénéficia d'une rénovation majeure en 2002, pour un coût total de 50 millions $. Le terminal fut complètement rénové, agrandi et modernisé par l'architecte John Hearn pour atteindre les standards d'autres aéroports de cette taille en Amérique du Nord. L'aéroport eut de nouvelles rénovations depuis, et des plans sont en cours pour construire un nouveau parc industriel adjacent à l'aéroport, d'une aire de 1,2 km2.
De plus, l'aéroport de Saint-Jean fut désigné l'un des 5 aéroports canadiens possibles pour un atterrissage d'urgence de la navette spatiale américaine.
L'aéroport international de Saint-Jean-de-Terre-Neuve ajouta des vols saisonniers pour Montego Bay (SunWing) et Orlando (WestJet). Des vols pour Fort McMurray, Vancouver, Calgary et Edmonton pour Air Canada incluent tous des escales, soit à Toronto–Pearson, Ottawa–MacDonald-Cartier ou Montréal–Trudeau.
WestJet annonça qu'un vol saisonnier pour Dublin (DUB) en Irlande commencera le , jusqu'au . Le vol commencera à Toronto–Pearson (YYZ), atterrira pour faire le plein d'essence et pour accueillir d'autres passagers à Saint-Jean-de-Terre-Neuve, pour ensuite continuer vers Dublin (DUB).

L'aéroport est le siège de Provincial Airlines[4].

Localisation

L'aéroport est situé dans la banlieue nord de Saint-Jean de Terre-Neuve, au sud-ouest de la ville de Torbay. Il est situé aux coordonnées 47.61 nord et -52.75 ouest. Il est situé sur un terrain forestier relativement plat [5].

Accessibilité

Un avion Embraer 190 d'Air Canada, à la porte 2, avec, en arrière-plan, la tour de contrôle de l'aéroport international.

L'aéroport international de Saint-Jean est accessible par une seule route, soit par la Portugal Cove Road (route 40). Il est situé à 15 minutes de route au nord du centre-ville de la capitale. Depuis la route Transcanadienne, la route 1 de Terre-Neuve-et-Labrador, la sortie 47B mène vers l'aéroport (toujours sur la Portugal Cove Road) [6].

Terminal

Terminal de l'aéroport en mai 2014

Depuis l’expansion du terminal de 2002, il couvre une superficie totale de 175 000 pieds carrés (16 300 m2)[7]. Il est axé dans une orientation ouest-est.

À l'ouest du terminal se situe la zone d'arrivée des vols internationaux, et plus au nord, il y a la zone des arrivées générales. Dans toute la partie nord et nord-est du terminal, c'est la zone des départs, menant vers les portes d'embarquement de l'aéroport.

Un avion EVAS Beechcraft B1900 à l'aéroport.

Outre cela, le terminal inclut un centre d'information pour les visiteurs, un kiosque pour l'Internet, une zone pour louer des voitures, une aire de jeux pour les enfants, un Tim Hortons, deux salons (On the Fly et Coyote Jacks), une multitude d'autres restaurants ainsi qu'une zone pour les billets d'embarquement[8].

Huit portes d'embarquement sont disponibles sur le site du terminal ; parmi elles, quatre comportent des ponts aériens pour passagers, et quatre autres se font par le transport des passagers au sol[7].

Pistes

3 pistes desservent l'aéroport de Saint-Jean de Terre-Neuve, toutes en asphalte. La piste principale, numérotée 11/29, est axée ouest-est, et est la principale piste d'atterrissage pour les avions de tout type. La piste 16/34, quant à elle, est axée nord-ouest / sud-est, et sert principalement de piste de décollage. La piste 02/20 est une autre piste de décollage principalement, et est axée nord-sud.
Dans l'ordre des 3 dernières pistes, chacune mesure respectivement 2 600 mètres, 2 100 mètres et 1 500 mètres[7].

Accidents

  • Le , un avion Ilyushin II-76-TD-90VD, qui était exploité par Volga-Dnepr Airlines, prolongea sa course lors de son atterrissage en terminant sa course au-delà de la piste d'atterrissage, dans une partie gazonnée. Il y a eu des dégâts mineurs sur l'avion, mais aucune blessure n'a été rapportée parmi les 9 membres de l'équipage.

Statistiques

Voir la requête brute et les sources sur Wikidata.

Compagnies aériennes et destinations

CompagniesDestinations
Drapeau du Canada Air Canada Halifax (Stanfield), Londres-Heathrow, Toronto (Pearson)

En saison : Montréal (P.-E.-Trudeau), Ottawa (Macdonald-Cartier)

Drapeau du Canada Air Canada Express Deer Lake (TN et L), Gander, Goose Bay, Halifax (Stanfield), Montréal (P.-E.-Trudeau)
Drapeau de la France Air Saint-Pierre Saint-Pierre
Drapeau du Canada PAL Airlines Gander, Deer Lake (TN et L), Saint-Anthony (Terre-Neuve-et-Labrador), Goose Bay
Drapeau du Canada Porter Airlines En saison : Halifax (Stanfield)
Drapeau du Canada Sunwing Airlines En saison : Cancún, Cayo Coco (J. del Rey), Montego Bay-Donald Sangster, Toronto (Pearson), Varadero-J.-G.-Gómez, Punta Cana
Drapeau du Canada WestJet Orlando, Toronto (Pearson)

En saison : Calgary, Dublin, Tampa

Drapeau du Canada WestJet Encore Halifax (Stanfield)

Édité le 18/07/2018

Notes et références

  1. (en) « Airport Divestiture Status Report », sur www.tc.gc.ca.
  2. (en) « Aéroport de St John's - St. John's International Airport », sur www.americas-fr.com (consulté le )
  3. (fr) « Aéroport international de Saint John's (st-johns-canada - Terre Neuve et Labrador). Code IATA : YYT », sur www.bourse-des-voyages.com (consulté le )
  4. "Adresses et numéros." Provincial Airlines. Consulté le 4 décembre 2011.
  5. Google Earth
  6. Google Maps
  7. Site Web officiel YYT
  8. Carte du terminal sur le site officiel de l'aéroport

Voir aussi

Lien externe

  • icône décorative Portail de l’aéronautique
  • icône décorative Portail du Canada
  • icône décorative Portail de Terre-Neuve-et-Labrador
Cet article est issu de Wikipedia. Le texte est sous licence Creative Commons – Attribution – Partage à l’identique. Des conditions supplémentaires peuvent s’appliquer aux fichiers multimédias.