Quedius flichei
Quedius flichei est une espèce fossile d'insectes coléoptères de la famille des Staphylinidae, du genre Quedius.
Classification
    
L'espèce Quedius flichei est décrite en 1937 par le paléontologue français Théobald (1903-1981)[1],[2].
Holotype fossile
    
Cet holotype F120 de l'ère Cénozoïque, de l'époque Oligocène inférieur ou Rupélien (33,9 à 28,4 Ma) fait partie de la collection Paul Fliche, un paléontologue français du XIXe siècle, collection conservée à l'École nationale des eaux et forêts de Nancy, et vient de la localité de Céreste dans le département des Alpes-de-Haute-Provence.[1]. Cet holotype a deux cotypes F113 et 119 de la même collection.
Étymologie
    
L'épithète spécifique flichei rend hommage au paléontologue français du XIXe siècle Paul Fliche (1836-1908) et enseignant à l'école nationale des eaux et forêts de Nancy.
Description
    
    Caractères
    
La diagnose de Nicolas Théobald en 1937[1],[note 1] :
« Insecte au corps oblong, teinte brun-noir; en bon état de conservation, la chitine est encore visible. Tête arrondie, un peu moins large que le thorax ; deux yeux petits, de forme ovale allongée, placés sur les côtés et vers le milieu de la tête ; antennes insérées sur le côté interne du bord antérieur des yeux, quelques segments allongés sont encore visibles (g. Quedius s. str.) ; mandibules assez courtes, pointues, en forme d'arc ; bord postérieur de la tête convexe et nettement séparé du prothorax. Corselet droit à l'avant, angles antérieurs assez pointus, bords latéraux légèrement arrondis, ainsi que les angles et le bord postérieurs ; surface finement ponctuée, comme celle de la tête et des élytres ; une carène médiane. Élytres dépassant un peu le thorax sur le côté, baillant à l'arrière ; un tiers plus long que le thorax ; surface marquée de petites côtes entre lesquelles se trouvent des espaces finement ponctués. Abdomen allongé, rebordé ; sept segments emboités, visibles en arrière des élytres ; surface ornée de nombreux poils, longs et fins; teinte noire ; à l'arrière on voit les organes génitaux, une pièce médiane, accompagnée de deux appendices velus. On aperçoit sur les côtés du corps des fragments de pattes de teinte noire et des portions d'ailes membraneuses. »[1].
Dimensions
    
La longueur totale est de 14,5 mm ; la tête une longueur de 2 mm et une largeur de 2 mm ; le corselet une longueur de 2,5 mm et une largeur de 2,1 mm[1].
Affinités
    
« Notre Insecte appartient certainement au g. Quedius ; il a le port du sous-genre Microsaurus Thoms. et semble voisin de Quedius (Microsaurus) spectabilis Kr. des Indes qui a la même taille et une conformation semblable. Les Microsaurus de nos régions sont de taille inférieure.
Les espèces de Quedius décrites d'Aix s'en distinguent aisément par une taillé moindre. Qu. flichei est très voisin du Qu. rhenanus N. Th. de Kleinkembs (v. p. 166). »[1].
Biologie
    
« Le g. Quedius est un genre cosmopolite vivant dans des conditions variées. Ces Insectes préfèrent les régions chaudes et humides. On les trouve souvent réunis en grand nombre dans les matières végétales en décomposition, dans les mousses et quelques-uns même dans les fourmilières. Microsaurus brevis Er. de nos régions se rencontre souvent dans les nids de Formica rufa. De nombreuses fourmis existe à Céreste, on peut supposer que Quedius Flichei avait peut-être des mœurs analogues. »[1].
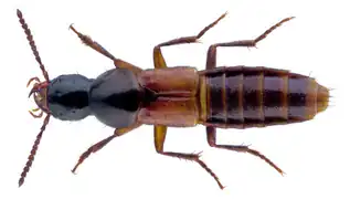
Galerie
    
- Quelques espèces vivantes du genre Quedius.
 Quedius brevis. Quedius brevis.
 Quedius cinctus. Quedius cinctus.
 Quedius longicornis. Quedius longicornis.
.jpg.webp) 
_Figure_8.jpg.webp) A Q. obliqueseriatus B Q. suramensis. C Sclerites dans le sac interne de Q. jenisseensis. A Q. obliqueseriatus B Q. suramensis. C Sclerites dans le sac interne de Q. jenisseensis.
Bibliographie
    
 : document utilisé comme source pour la rédaction de cet article.
 : document utilisé comme source pour la rédaction de cet article.
Publication originale
    
- [1937] Nicolas Théobald, « Les insectes fossiles des terrains oligocènes de France 473 p., 17 fig., 7 cartes,13 tables, 29 planches hors texte », Bulletin Mensuel de la Société des Sciences de Nancy et Mémoires de la Société des sciences de Nancy, Imprimerie G. Thomas, , p. 1-473 (ISSN 1155-1119 et 2263-6439, OCLC 786027547).  
Voir aussi
    
Liens externes
    
- Ressources relatives au vivant :
Notes et références
    
    Notes
    
Références
    
- Nicolas Théobald 1937, p. 391-392.
- (en) Référence Paleobiology Database : †Quedius flichei Theobald 1937 (rove beetle) (consulté le ).
- Portail de l’entomologie
- Portail de la paléontologie
- Portail des Alpes-de-Haute-Provence
- Portail du Cénozoïque



