Cyclone Gafilo
Le cyclone Gafilo est un puissant cyclone tropical qui a dévasté Madagascar en . C'est le cyclone le plus intense jamais observé dans le bassin sud-ouest de l'océan Indien.
|
Cyclone Gafilo
| ||||||||
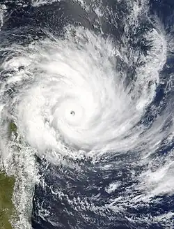
Image satellite de Gafilo le au moment de son intensité maximale. | ||||||||
| Apparition | ||||||||
|---|---|---|---|---|---|---|---|---|
| Dissipation | ||||||||
| Catégorie maximale | Cyclone catégorie 5 | |||||||
| Pression minimale | 895 hPa | |||||||
| Vent maximal (soutenu sur 1 min) |
263 km/h soutenus sur une minute | |||||||
| Dommages confirmés | 250 millions $US | |||||||
| Morts confirmés | 363 | |||||||
| Blessés confirmés | N/D | |||||||
| Zones touchées | Madagascar | |||||||
Trajectoire de Gafilo qui passe 2 fois au-dessus de Madagascar.
| ||||||||
| Saison cyclonique 2003-2004 dans l'océan Indien sud-ouest | ||||||||
Histoire

Une perturbation tropicale se forme le dans le centre de l'océan Indien, au sud de Diego Garcia. Il est pris en charge par le centre météorologique régional spécialisé (CMRS) de La Réunion, côté civil, et par le Joint Typhoon Warning Center (JTWC), côté militaire, le [1],[2]. Le système se dirige vers l'ouest-nord-ouest à bonne vitesse et évolue rapidement en tempête tropicale, nommée 16S par le JTWC et Gafilo par la station météorologique de l'île Maurice[1], puis en cyclone tropical le , créant des vents de 120 km/h et des rafales à 170 km/h. Le lendemain, Gafilo oblique vers l'ouest-sud-ouest en direction de Madagascar et atteint le stade de « cyclone tropical très intense », équivalent à la catégorie 5 de l'échelle de Saffir-Simpson, avec en son centre une pression record de 895 hPa. Gafilo crée alors des vents moyens de 231 km/h avec des rafales à 326 km/h. Il touche terre après minuit dans la nuit du 6 ou sur le littoral nord-est de Madagascar, près de la ville d'Antalaha[1],[2].
Gafilo traverse la partie nord de l'île en direction du sud-ouest ce qui lui fait perdre beaucoup de son intensité et il n'est plus que de catégorie 1 une fois qu'il atteint le canal du Mozambique. Le , il change brusquement de direction en prenant une direction sud-est et traverse à nouveau Madagascar, cette fois dans le Sud du pays, avec la force d'une tempête tropicale. Il s'évacue lentement vers le sud-est jusqu'à l'océan puis continue à faiblir, rencontrant des conditions défavorables de cisaillement de vents en altitude et de température de surface de la mer[1],[2].
Dégâts
Au moins 363 personnes sont tuées par le cyclone et près de 200 000 personnes se retrouvent sans abri. Le montant des dégâts s'élève à 250 millions de dollars américains[3]. L'évènement le plus grave en matière de perte de vies humaines a été le chavirement du traversier Le Samson au large de l'archipel des Comores, dans lequel 112 des 114 personnes à bord se sont noyées[2].
Les récoltes ont subi d'importants dommages d'autant plus qu'elles avaient déjà été atteintes un mois auparavant par le passage du cyclone Elita. Néanmoins, la vitesse de déplacement élevée de Gafilo a permis de limiter l'importance des dégâts, sa durée de présence en un endroit donné étant plus faible.
Notes et références
- (en) Cet article est partiellement ou en totalité issu de l’article de Wikipédia en anglais intitulé « Cyclone Gafilo » (voir la liste des auteurs).
- (en) « Tropical Cyclone (TC) 16S (Gafilo) », Joint Typhoon Warning Center (consulté le )
- (fr) Christian Duqué, professeur de SVT au lycée De Lattre de Tassigny, La Roche-sur-Yon, « Exemple d'interaction océan-atmosphère : un cyclone tropical (Gafilo) », Sciences de la vie et de la terre, Académie de Nantes (consulté le )
- (en) Centre de recherche sur l'épidémiologie des désastres de l'Organisation mondiale de la santé, « Top 10 natural disasters in Madagascar for the period from 1999 to 2008 », Base de données des événements d'urgence, Université catholique de Louvain - École de santé publique (consulté le )
Voir aussi
Article connexe
Liens externes
- Portail de la météorologie
- Portail des années 2000
- Portail de l’océan Indien
- Portail de Madagascar

