Benjamin Henry Latrobe, II
Benjamin Henry Latrobe, II est un ingénieur civil américain né à Philadelphie, Pennsylvanie, le , et mort à Baltimore le .
Biographie
Benjamin Henry Latrobe, II, est le fils de Benjamin Henry Latrobe, second architecte du Capitole qui a reconstruit le Capitole après l'incendie de Washington par les troupes britanniques, en , pendant la guerre anglo-américaine de 1812. L'incendie a détruit le Capitole et la Maison-Blanche.
Benjamin Henry Latrobe, Jr. a d'abord vécu à Balitmore puis a suivi les cours du College of Arts and Sciences de Georgetown (Washington, D.C.) situé à l'ouest du centre administratif de Washington, la capitale fédérale.
Vers 1820, Benjamin Henry Latrobe, Jr. travaille avec son père sur le réseau d'approvisionnement en eau de La Nouvelle-Orléans. Son père y meurt le de maladie.

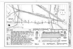
Il est engagé dans l'équipe d'inspecteurs par la compagnie Baltimore and Ohio Railroad (B&O) à l'été 1830. En 1832, il est ingénieur assistant pour arpenter et tracer la voie pour la ligne vers Washington. C'est pour cette ligne entre Baltimore et Washington qu'il conçoit Thomas Viaduct[1] qui a été au moment de sa construction le plus grand pont des États-Unis. Il a été terminé en 1835. Ce viaduc franchit le fleuve Patapsco, entre Relay et Elkridge, comté de Howard (Maryland). Il a été ingénieur chargé des projets et a travaillé en étroite collaboration avec l'ingénieur en chef de la ligne, Caspar Wever. Ce viaduc avait été surnommé "Latrobe's Folly" par ceux qui doutaient de sa solidité. Il est encore en activité.
Il s'est marié le avec Maria Eleanor "Ellen" Hazlehurst, à Salem (New Jersey).
Il est nommé en 1835 ingénieur en chef de la Baltimore and Port Deposit Railroad Company, chargé de la construction de la première ligne ferroviaire reliant Philadelphie à Baltimore.
.tif.jpg.webp)
Latrobe revient à la Baltimore and Ohio Railroad (B&O) en 1836. Avec Lewis Wernwag, il a fait la conception du premier pont ferroviaire franchissant le Potomac, à Harpers Ferry, Virginie-Occidentale, qui est mis en service en 1837.
En 1842, la Baltimore and Ohio Railroad (B&O) l'a nommé ingénieur en chef, succédant à Jonathan Knight. Il est directeur général de la compagnie en 1847. En 1849, il travaille avec Albert Fink qui vient d'arriver d'Allemagne.
Il est devenu plus tard président de la compagnie Pittsburgh and Connellsville Railroad filiale de la Baltimore and Ohio Railroad (B&O) dans le district de Pittsburgh[2].
En les années 1860, Latrobe a été ingénieur consultant pour la compagnie Troy and Greenfield Railroad et a travaillé sur le tunnel du Hoosac dans le Massachusetts, qui a été le second plus long tunnel du monde[3].
Notes et références
- (en) Cet article est partiellement ou en totalité issu de l’article de Wikipédia en anglais intitulé « Benjamin Henry Latrobe, II » (voir la liste des auteurs).
- Le nom du viaduc vient de celui du premier président de la Baltimore and Ohio Railroad, Philip E. Thomas.
- Railroad History, Pittsburgh Plan, 1923
- Report of Benj. H. Latrobe, Consulting Engineer, on the Troy and Greenfield Railroad and Hoosac Tunnel, Wright & Potter state printers, Boston, 1869 (lire en ligne)
Annexes
Liens externes
- Portail du chemin de fer en Amérique du Nord
- Portail des ponts
- Portail des tunnels
- Portail des États-Unis